4 Mise en oeuvre
Les schémas illustrant le présent document constituent des exemples indicatifs et non limitatifs de réalisation des ouvrages auxquels ils se rapportent.
Règles générales de mise en oeuvre.
Les tuiles sont posées à joints croisés (ce qui nécessite des demi-tuiles ou des tuiles et demie en rive).
Le bon positionnement de la tuile doit résulter de l'accrochage, du ou des tenons prévus à cet effet, sur la face amont du liteau.
La partie inférieure de chaque tuile prend place sur les tuiles du rang inférieur.
Lorsque les tuiles sont hourdées, on doit utiliser un mortier répondant aux spécifications du paragraphe 3.4.3.
Au départ de l'égout, comme en arrivée en faîtage, il est habituel d'employer des tuiles « courtes ».
Ces tuiles peuvent être des éléments courants raccourcis sur place.
Les tuiles gauches (tuiles incurvées sur une partie de leur largeur) ou gambardières (tuiles concaves dans le sens de la largeur) sont réservées pour l'exécution de certains ouvrages de raccords.
Il y a lieu d'éviter de bloquer latéralement les tuiles les unes contre les autres.
Certains modèles de tuiles comportent un filet d'épaisseur permettant de réserver un intervalle entre tuiles.
4.1 Pentes
Les pentes minimales admissibles sont données dans les tableaux ci-après en fonction des conditions locales (la définition des conditions locales - zones d'application et situations - est donnée en annexe A).
 : Couverture en tuiles plates de terre cuite/DTU 40.23 (NF P31-204-1) (septembre 1996)/image/tab_AII_1_1.png)
Tableau 1 Pentes minimales sans écran
Pour les travaux de restauration, le recours à des pentes plus faibles avec un recouvrement plus important peut être considéré moyennant une étude appropriée, en accord avec le fabricant.
Toutefois, lorsqu'il est fait usage d'un écran de sous-toiture, les pentes minimales de couverture peuvent être abaissées, selon les dispositions du tableau suivant :
 : Couverture en tuiles plates de terre cuite/DTU 40.23 (NF P31-204-1) (septembre 1996)/image/tab_AII_1_2.png)
Tableau 2 Pentes minimales avec écran
Les pentes des tableaux 1 et 2 sont données en mètres par mètre de projection horizontale et sont celles du support (et non celle de la tuile en oeuvre).
Elles sont valables pour des rampants dont la longueur de projection n'excède pas 8,00 m.
Les rampants dont la longueur de projection est supérieure à 8,00 m, qui nécessitent des dispositions particulières, ne sont pas traités dans le présent document.
Les pentes définies dans les tableaux 1 et 2 s'appliquent à l'ensemble de la couverture. Toutefois, pour les coyaulures, les lucarnes ou les parties d'ouvrages ponctuelles conduisant à des pentes inférieures au minimum exigé en partie courante, une étanchéité complémentaire devra être mise en place.
Cette étanchéité doit être conçue de telle sorte qu'elle soit de nature à se substituer aux tuiles, pour reconduire les eaux d'infiltration éventuelles à l'égout, toutes précautions étant prises par ailleurs pour maintenir la bonne ventilation de la sous-face des tuiles (voir paragraphe 4.7).
Les pentes abaissées sont dues à la conséquence de la présence de l'écran sur le champ de pression de part et d'autre de la couverture et non comme une contribution de cet écran à l'étanchéité de la couverture.
4.2 Etablissement du support
4.2.1 Pose sur liteaux
4.2.1.1 Pose sur liteaux bois
Les tuiles reposent sur un litonnage en bois dont les éléments, reposant sur trois appuis au moins, sont fixés à l'aide d'une pointe ou d'une agrafe à chaque intersection d'un chevron et d'un liteau.
La longueur des pointes doit être au moins égale à :
 : Couverture en tuiles plates de terre cuite/DTU 40.23 (NF P31-204-1) (septembre 1996)/image/tab_AII_1_3.png)
Tableau 3 Dimensionnement des pointes Dimensions en millimètres
Les pointes torsadées ou crantées présentent un meilleur accrochage dans le bois que les pointes lisses.
Les dimensions des agrafes sont précisées au paragraphe 3.3.1.1.2.
L'agrafage n'est utilisé que pour la fixation de pièces d'épaisseur inférieure ou égale à 25 mm.
Le tableau ci-après donne la section des liteaux à utiliser en fonction :
-
de l'écartement maximal entre appuis des supports
NOTEL'entraxe admissible des supports est égal à l'écartement maximal entre appuis, majoré d'une largeur de chevron ou fermette.
de l'entraxe de pose des liteaux ;
de la charge équivalente 2.
 : Couverture en tuiles plates de terre cuite/DTU 40.23 (NF P31-204-1) (septembre 1996)/image/tab_AII_1_4.png)
Tableau 4 Dimensionnement des liteaux
La charge équivalente répartie correspond à : (poids propre des éléments de couverture × 1,5) + (charge climatique normale).
Le tableau 4 est applicable aux conditions d'emploi des liteaux en résineux (sapin, épicéa). Il peut être appliqué au dimensionnement des liteaux en chêne ou châtaignier.
A titre indicatif, le poids de la couverture varie de 55 daN/m² à 90 daN/m² suivant le modèle des tuiles. Pour les liteaux rectangulaires, le sens de pose doit être respecté.
4.2.1.2 Pose sur liteaux métalliques
Les tuiles sont posées sur des cornières telles que définies par les normes NF A 45-009 et NF A 45-010.
L'épaisseur et la largeur des ailes sont fonction de la portée et des charges.
Elles sont déterminées par calcul.
4.2.1.3 Ecartement des liteaux
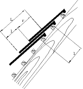
L'écartement de face amont à face amont des liteaux est égal au pureau qui est la longueur, suivant la ligne de plus grande pente de la couverture, de la partie vue de la tuile pour un observateur placé au-dessus de la couverture.
Cet écartement doit être tel que la longueur de la partie haute de la tuile qui ne reçoit pas d'eau directement (dite « longueur de recouvrement ») soit au moins égale à celle des recouvrements minimaux, soit 0,07 m en zones 1 et 2 et 0,08 m en zone 3 (voir paragraphe 4.1 et figure 2). r étant la valeur de recouvrement adoptée, l'écartement des liteaux (I) doit être égal à :
I = L - r/2
L étant la longueur de la tuile.
 : Couverture en tuiles plates de terre cuite/DTU 40.23 (NF P31-204-1) (septembre 1996)/image/fig_AII_1_2.png)
Figure 2 Ecartement des liteaux
4.3 Fixation des tuiles
La fixation des tuiles au support est effectuée soit par clouage, soit au moyen d'un crochet par tuile. Elle doit être réalisée en tenant compte de la pente de la couverture et de l'exposition au vent de la couverture dans les conditions précisées par le tableau 5.
 : Couverture en tuiles plates de terre cuite/DTU 40.23 (NF P31-204-1) (septembre 1996)/image/tab_AII_1_5.png)
Tableau 5 Fixation des tuiles
4.4 Ouvrages particuliers
Les figures ci-après constituent des exemples indicatifs pour raccordement à des ouvrages de maçonnerie et de charpente traditionnelle en bois.
Pour les raccords à d'autres natures d'ouvrages, il y aura lieu d'adapter les figures précitées.
4.4.1 Egout
4.4.1.1 Egout droit
Les tuiles d'égout doivent présenter la même inclinaison que les autres tuiles. Pour ce faire, le premier rang de tuiles d'égout est accroché en partie haute sur un liteau tandis que sa partie basse repose sur un dispositif évitant le basculement (chanlatte, liteau surélevé, planche de rive égout, etc.).
Comme indiqué à l' article 4, le premier rang est généralement constitué de tuiles courtes, entièrement recouvertes par les tuiles du second rang (voir figure 3).
 : Couverture en tuiles plates de terre cuite/DTU 40.23 (NF P31-204-1) (septembre 1996)/image/fig_AII_1_3.png)
Figure 3 Egout en débord
Si l'extrémité des chevrons se trouve en retrait du mur de façade, sur l'entablement de celui-ci (faisant saillie à l'extérieur) on assurera la mise hors d'eau de l'entablement, par exemple en scellant autant de rangs de tuiles que nécessaire, au besoin sur une forme en pente (voir figure 4).
 : Couverture en tuiles plates de terre cuite/DTU 40.23 (NF P31-204-1) (septembre 1996)/image/fig_AII_1_4.png)
Figure 4 Egout scellé
Pour le dispositif de la figure 4 :
Cette solution peut poser des problèmes vis-à-vis de l'humidification dans le cas de l'interposition d'un écran.
4.4.1.2 Egout biais
Dans le cas d'un égout biais, les tuiles sont tranchées parallèlement à la ligne d'égout. Les rangs ne sont pas décalés (voir figure 5). En général, une bande métallique complète l'ouvrage.
 : Couverture en tuiles plates de terre cuite/DTU 40.23 (NF P31-204-1) (septembre 1996)/image/fig_AII_1_5.png)
Figure 5 Egout biais
4.4.2 Saillies égout de rives
Lorsqu'elles ne sont pas fermées à la face inférieure par un habillage, il est nécessaire de fixer chaque tuile et demi-tuile des rangs en saillies.
Cet habillage peut être constitué par des voliges jointives ou des panneaux pouvant comporter des orifices de ventilation.
4.4.3 Faîtage
Les abouts de faîtage doivent être obturés.
Cette obturation peut être réalisée par l'emploi de pièces spéciales dites « abouts de faîtage ».
4.4.3.1 Faîtage droit
La ligne de faîte est recouverte de pièces en terre cuite dites « faîtières » qui peuvent être, soit simplement disposées jointivement bout à bout, soit à emboîtement ou à glissement.
La faîtière doit recouvrir la tuile de sous-faîtage et l'avant-dernière tuile de la valeur du recouvrement défini au paragraphe 4.2.1.3 (voir figure 6).
 : Couverture en tuiles plates de terre cuite/DTU 40.23 (NF P31-204-1) (septembre 1996)/image/fig_AII_1_6.png)
Figure 6 Faîtage
Dans le cas des faîtières à emboîtement ou à glissement, leur recouvrement s'effectue dans le sens opposé aux vents de pluie dominants.
4.4.3.1.1 Fixation des faîtières
Cette fixation est réalisée soit au mortier répondant aux spécifications du paragraphe 3.4.3, soit par clouage, pannetonnage ou crochetage, soit par tire-fond.
En cas de clouage ou de tirefonnage, il est nécessaire de prévoir un complément d'étanchéité sur la tête de la pointe ou du tire-fond si elle demeure apparente.
Toutes ces fixations seront traitées contre la corrosion.
La fixation par clouage ou tirefonnage nécessite au faîtage la présence d'une pièce complémentaire en bois, lisse de rehausse, fixée à la charpente.
4.4.3.1.2 Joints entre faîtières
Le joint entre faîtières, s'il n'est pas réalisé par emboîtement, est réalisé soit par un recouvrement de 10 cm au minimum avec joint de mortier répondant aux spécifications du paragraphe 3.4.3, soit par un recouvrement plus faible avec interposition d'un complément d'étanchéité conforme à la norme NF P 30-303, soit, dans le cas de faîtières jointives, par un bourrelet de mortier répondant aux spécifications du paragraphe 3.4.3.
4.4.3.1.3 Joints entre faîtières et tuiles
Le joint entre faîtières et tuiles est calfeutré au mortier répondant aux spécifications du paragraphe 3.4.3 (voir figure 6).
4.4.4 Arêtiers, faîtage biais
Les arêtiers et faîtages biais sont exécutés à l'aide de l'un des procédés suivants :
-
par arêtiers corniers ou fermés en terre cuite, angulaires, ou demi-ronds, cloués sur un tasseau en sapin ou scellés au mortier répondant aux spécifications du paragraphe 3.4.3 (voir figure 7) ;
 : Couverture en tuiles plates de terre cuite/DTU 40.23 (NF P31-204-1) (septembre 1996)/image/fig_AII_1_7.png)
Figure 7 Arêtier cornier
-
par un filet en mortier, répondant aux spécifications du paragraphe 3.4.3, à trois arêtes, commun aux deux versants (voir figure 8) ;
 : Couverture en tuiles plates de terre cuite/DTU 40.23 (NF P31-204-1) (septembre 1996)/image/fig_AII_1_8.png)
Figure 8 Arêtier en filet de mortier
NOTECette mise en oeuvre requiert une attention et des soins particuliers notamment en ce qui concerne le dosage du mortier, la préparation du support et le garnissage entre les tuiles. Ce qui ne la justifie que dans des cas spéciaux.
-
par double tranchis des tuiles avec approche et contre-approche (tuiles tranchées latéralement de façon à obtenir un raccordement progressif entre les tuiles courantes et la ligne d'arêtier) le cas échéant, laissant une arête nette avec noquets (pièce de raccordement métallique) cachés entre la superposition des tuiles (voir figure 9) ;
 : Couverture en tuiles plates de terre cuite/DTU 40.23 (NF P31-204-1) (septembre 1996)/image/fig_AII_1_9.png)
Figure 9 Arêtier à noquets
-
avec éléments spéciaux (pièces d'arêtier en terre cuite). L'utilisation des pièces en terre cuite n'est possible que si les deux versants ont la même pente (voir figure 10).
 : Couverture en tuiles plates de terre cuite/DTU 40.23 (NF P31-204-1) (septembre 1996)/image/fig_AII_1_10.png)
Figure 10 Arêtier avec éléments spéciaux
4.4.5 Noues
D'une façon générale, les noues sont traitées comme des égouts biais.
Lorsque les pentes des deux versants sont très différentes, il convient notamment de recourir à la noue encaissée et de prendre toutes dispositions pour éviter les infiltrations d'eau sur le versant dont la pente est la plus faible.
Par suite de sa position, la noue se trouve placée dans des conditions particulièrement défavorables pour les raisons suivantes :
sa pente est inférieure à celle du rampant de plus faible pente ;
étant placée à l'intersection de deux versants, la noue reçoit une grande quantité d'eau.
En conséquence, sa réalisation doit faire l'objet de soins particuliers.
Les noues sont généralement exécutées suivant l'un des systèmes ci-après :
-
avec éléments spéciaux (pièces de noues en terre cuite) (l'utilisation de pièces en terre cuite n'est possible que si les deux versants ont la même pente) (voir figure 11) ;
 : Couverture en tuiles plates de terre cuite/DTU 40.23 (NF P31-204-1) (septembre 1996)/image/fig_AII_1_11.png)
Figure 11 Noue avec éléments spéciaux
-
- à double tranchis de tuiles, noue encaissée avec revêtement métallique (voir figures 12 et 13). La distance entre les extrémités tranchées des tuiles doit permettre le nettoyage de la noue ;
 : Couverture en tuiles plates de terre cuite/DTU 40.23 (NF P31-204-1) (septembre 1996)/image/fig_AII_1_12.png)
Figure 12 Noue métallique à double tranchis
 : Couverture en tuiles plates de terre cuite/DTU 40.23 (NF P31-204-1) (septembre 1996)/image/fig_AII_1_13.png)
Figure 13 Coupe sur noue métallique à double-tranchis
-
à noquets cachés entre la superposition des tuiles (voir figure 14).
 : Couverture en tuiles plates de terre cuite/DTU 40.23 (NF P31-204-1) (septembre 1996)/image/fig_AII_1_14.png)
Figure 14 Noue à noquets cachés
4.4.6 Rives de tête
4.4.6.1 Rives de tête avec dépassement du mur
Le dernier rang de tête est recouvert par une garniture métallique et une bande de solin, suivant les dispositions de la figure 15, en respectant les règles de recouvrement.
 : Couverture en tuiles plates de terre cuite/DTU 40.23 (NF P31-204-1) (septembre 1996)/image/fig_AII_1_15.png)
Figure 15 Rive de tête avec dépassement de mur
4.4.6.2 Rives de tête sans dépassement du mur
Il peut être utilisé, soit des faîtières en terre cuite spéciales soit une garniture métallique suivant les dispositions de la figure 16.
 : Couverture en tuiles plates de terre cuite/DTU 40.23 (NF P31-204-1) (septembre 1996)/image/fig_AII_1_16.png)
Figure 16 Rive de tête sans dépassement de mur
4.4.7 Rives latérales
4.4.7.1 Rives latérales droites
-
Elles sont généralement réalisées par :
-
des tuiles scellées entre elles (figure 17), le mortier devant répondre aux spécifications du paragraphe 3.4.3.
 : Couverture en tuiles plates de terre cuite/DTU 40.23 (NF P31-204-1) (septembre 1996)/image/fig_AII_1_17.png)
Figure 17 Rive maçonnée en débord
Ces ouvrages exigent en rive l'emploi de demi-tuiles ou de tuiles et demie.
-
une bande métallique ou des noquets métalliques (suivant les dispositions de la figure 18).
 : Couverture en tuiles plates de terre cuite/DTU 40.23 (NF P31-204-1) (septembre 1996)/image/fig_AII_1_18.png)
Figure 18 Rive à noquets métalliques
Ces ouvrages exigent en rive l'emploi de demi-tuiles ou de tuiles et demie.
Les noquets sont intercalés entre les tuiles et ne sont apparents qu'en relevé vertical.
-
-
Elles peuvent aussi être réalisées à l'aide de pièces spéciales :
-
tuiles et demi-tuiles de rive à rabat (voir figure 19).
 : Couverture en tuiles plates de terre cuite/DTU 40.23 (NF P31-204-1) (septembre 1996)/image/fig_AII_1_19.png)
Figure 19 Tuiles de rive à rabat
-
4.4.7.2 Rives latérales biaises
-
rive latérale biaise qui reçoit l'eau.
Elle est traitée en noue.
-
rive latérale biaise que l'eau fuit.
Elle est traitée en arêtier.
4.4.8 Pénétrations
4.4.8.1 Pénétrations continues
Par pénétration continue, on entend des ouvrages qui limitent la surface de la couverture sur tout un côté de celle-ci (par exemple : mur mitoyen, tête de pignon).
4.4.8.1.1 Pénétration continue suivant la ligne de plus grande pente de la couverture
II est fait recours à l'une des solutions suivantes :
-
on utilise principalement des noquets métalliques (voir figure 20) ;
 : Couverture en tuiles plates de terre cuite/DTU 40.23 (NF P31-204-1) (septembre 1996)/image/fig_AII_1_20.png)
Figure 20 Solution noquets métalliques
-
on peut recourir à l'exécution d'un solin de mortier répondant aux spécifications du paragraphe 3.4.3 recouvert d'une garniture métallique et d'une bande de solin (voir figure 21).
 : Couverture en tuiles plates de terre cuite/DTU 40.23 (NF P31-204-1) (septembre 1996)/image/fig_AII_1_21.png)
Figure 21 Solution maçonnerie
Dans ce cas, la réalisation des raccordements au mortier requiert une attention et des soins particuliers, notamment en ce qui concerne le dosage du mortier, la préparation du support et le garnissage entre les tuiles, ce qui ne la justifie que dans des cas spéciaux.
4.4.8.1.2 Pénétration continue perpendiculaire à la ligne de plus grande pente de la couverture
Deux cas sont possibles :
l'intersection perpendiculaire a lieu au point haut de la couverture : l'ouvrage est traité comme indiqué au paragraphe 4.4.6 « rives de tête » ;
-
l'intersection perpendiculaire a lieu au point bas de la couverture : elle est alors couramment dénommée « chéneau » et traitée comme tel (voir figure 22).
 : Couverture en tuiles plates de terre cuite/DTU 40.23 (NF P31-204-1) (septembre 1996)/image/fig_AII_1_22.png)
Figure 22 Chéneau encaissé
Les dimensions du chéneau doivent permettre l'évacuation des eaux recueillies [ voir XP P 36-201 (Référence DTU 40.5)].
4.4.8.1.3 Pénétration continue oblique par rapport à la ligne de plus grande pente de la couverture
L'ouvrage est traité comme une rive de tête ou comme un chéneau selon que l'eau a tendance à fuir ou à rejoindre la ligne d'intersection entre le versant et la pénétration.
4.4.8.2 Pénétrations discontinues
Les pénétrations discontinues sont des ouvrages isolés à l'intérieur de la surface de la couverture : souches, lanterneaux, etc.
En l'absence de produits spécifiques en terre cuite (tuiles noquets par exemple), il y a lieu de se référer aux figures 22, 23 et 24.
 : Couverture en tuiles plates de terre cuite/DTU 40.23 (NF P31-204-1) (septembre 1996)/image/fig_AII_1_23.png)
Figure 23 Hébergement de pénétration avec besace - Vue perspective
 : Couverture en tuiles plates de terre cuite/DTU 40.23 (NF P31-204-1) (septembre 1996)/image/fig_AII_1_24.png)
Figure 24 Hébergement de pénétration avec besace - Vue de dessus
Les raccords de fenêtre de toit sont traités dans les Avis Techniques relatifs à ces systèmes.
Lorsqu'il s'agit d'une souche de cheminée (figures 23 et 24), la distance entre les bois et la face intérieure du conduit (écart au feu) doit respecter le minimum prescrit par la réglementation en vigueur dans la région considérée.
Sur les côtés de l'ouvrage et sur le devant, on opère, par exemple, comme pour une pénétration continue (voir paragraphe 4.4.8.1.1).
Sur le devant, l'ouvrage est traité comme indiqué au paragraphe 4.4.6.1.
Sur la partie amont de l'ouvrage, on réalise un derrière indépendant en métal sur forme de pente (ou « besace ») (voir figure 23) ou un chéneau (voir figure 22).
Les raccordements aux angles se font par goussets soudés (figures 23 et 24).
4.4.8.3 Bande à rabattre
En raccord avec les pénétrations constituées par des ouvrages en bois ou en fibre-ciment, on substitue à la bande de solin une bande à rabattre avec calfeutrement au mastic élastomère adapté.
4.5 Ecrans
On entend par « écran », un élément continu, souple ou rigide, interposé entre le comble et la face interne des tuiles.
L'écran doit permettre la fixation des liteaux support des tuiles ainsi que les contre-liteaux destinés à assure la ventilation de la sous-face de ces dernières, et pou lesquels les dispositions à respecter sont définies au paragraphes 4.5.1, 4.5.2, 4.5.3 et 4.5.4.
Les documents particuliers du marché précisent, ou non, l'interposition d'un écran.
4.5.1 Ecran souple
L'écran est fixé tendu sur les chevrons et le niveau d'appui des liteaux est relevé par une contre-latte d'épaisseur minimale 20 mm, fixée sur la face supérieure du chevron (voir figure 25).
 : Couverture en tuiles plates de terre cuite/DTU 40.23 (NF P31-204-1) (septembre 1996)/image/fig_AII_1_25.png)
Figure 25 Fixation de l'écran souple
 : Couverture en tuiles plates de terre cuite/DTU 40.23 (NF P31-204-1) (septembre 1996)/image/fig_AII_1_251.png)
Figure 25 Principe de mise en oeuvre de l'écran souple - Fixation de l'écran souple
Cette disposition répond au caractère nécessaire de la circulation de l'air entre la surface de l'écran et les tuiles.
En égout, l'écran doit être raccordé de façon à ce que les eaux de fonte, des éventuelles pénétrations de neige poudreuse, soient reconduites à l'extérieur du bâtiment (dans la gouttière ou le chéneau par exemple).
Les Avis Techniques concernant les écrans souples de sous-toitures précisent les particularités de pose en matière :
d'écartement maximal admissible des chevrons supports ;
de valeur du recouvrement minimal des les en fonction de la pente de la couverture.
La ventilation doit être assurée selon les dispositions du paragraphe 4.7 qui précise une ventilation en sous-face de l'écran lorsque celui-ci est prévu.
4.5.2 Ecran rigide en bois ou en matériau dérivé du bois
II doit être de l'un des types définis aux paragraphes 3.6.2.1 et 3.6.2.2.
Afin d'assurer le passage de l'air, le plan d'appui des liteaux est relevé par un contre-liteau d'épaisseur de telle sorte qu'un espace de 20 mm minimum soit réservé sous les liteaux.
4.5.3 Ecran en terre cuite
Cet écran peut être constitué par des produits de terre cuite, généralement assemblés par hourdage au mortier de ciment, avec interposition d'une armature dans les joints, et reposant sur des fermettes ou chevrons convenablement espacés.
4.5.4 Ecran en maçonnerie
Cet écran peut être constitué par des éléments porteurs en maçonnerie, préfabriqués ou non, spécialement destinés à cet usage (cas des sous-toitures en céramique ou béton par exemple).
Ces éléments peuvent être justifiables de l'Avis Technique.
4.6 Isolation thermique des combles
L'isolation thermique peut être disposée en plancher de comble ou, dans le cas d'occupation de ces derniers, sous rampant.
Les travaux d'isolation relèvent de l'entreprise chargée de ce lot. Ils ne sont pas traités dans le cadre du présent document.
La couverture peut ou non comporter un écran souple tendu ou un écran rigide.
L'isolant ne doit jamais être en contact avec la sous-face des tuiles ou de l'écran de sous-toiture, et ce, compte tenu des variations éventuelles de l'épaisseur de l'isolant.
Il doit subsister un espace ventilé d'au moins :
20 mm entre la sous-face des liteaux et la face supérieure de l'isolant dans le cas des couvertures sans écran ;
20 mm entre la sous-face de l'écran souple tendu ou de l'écran rigide et la face supérieure de l'isolant dans le cas des couvertures avec écran.
4.7 Ventilation en sous-face de la couverture
4.7.1 Généralités
La ventilation de la sous-face des tuiles et de leur support doit être assurée.
L'espace à ventiler sous-couverture est constitué :
soit par le volume du comble dans le cas d'une isolation disposée en plancher ;
soit par la lame d'air contenue entre, d'une part la sous-face de la couverture et de son support, et, d'autre part la face supérieure de l'isolant ou de l'écran disposés sous rampant.
Complémentairement, lors de la mise en oeuvre d'un écran, la sous-face de celui-ci doit être également ventilée.
Le recours à des dispositifs spécifiques adaptés permet de réaliser correctement cette ventilation.
4.7.2 Section et répartition des orifices de ventilation de la sous-face de la couverture
Suivant la configuration de la couverture, les sections totales des orifices de ventilation sont données dans le tableau ci-après, en fonction de la surface projetée de la couverture :
 : Couverture en tuiles plates de terre cuite/DTU 40.23 (NF P31-204-1) (septembre 1996)/image/tab_AII_1_6.png)
Tableau 6 Section totale des orifices de ventilation
Les sections totales des orifices de ventilation doivent être réparties par moitié entre partie basse du ou des versant(s) et, pour l'autre moitié, au voisinage du faîtage.
S Caractérise la section des orifices en relation avec le volume à ventiler entre isolant et éléments de couverture.
S 1 Caractérise la section des orifices en relation avec le volume à ventiler entre écran et éléments de couverture.
S 2 Caractérise la section des orifices en relation avec le volume à ventiler entre isolant et écran.
4.7.3 Dispositions particulières et accessoires destinés à la ventilation de l'espace sous couverture
Les jeux entre les tuiles ne permettant pas la ventilation nécessaire, celle-ci doit être assurée par une entrée d'air en partie basse et une sortie d'air en partie haute de la couverture, au moyen de tuiles de ventilation (chatières ou autres) disposées en quinconce sur une ligne haute et une ligne basse.
4.7.3.1 En égout
Des orifices de ventilation sont constitués :
-
dans le plan de la couverture, par des chatières (voir figure 26), ou des tuiles de ventilation ;
 : Couverture en tuiles plates de terre cuite/DTU 40.23 (NF P31-204-1) (septembre 1996)/image/fig_AII_1_26.png)
Figure 26 Entrée d'air par chatière
-
en façade ou en avancée de toit, par des grilles ou fentes continues (voir figure 27).
 : Couverture en tuiles plates de terre cuite/DTU 40.23 (NF P31-204-1) (septembre 1996)/image/fig_AII_1_27.png)
Figure 27 Entrée d'air linéaire en avancée de toit
Dans le cas de fente, la plus petite dimension des orifices est au minimum de 1 cm. Dans le cas où cette dimension est supérieure à 2 cm, il doit être disposé un grillage à mailles fines destiné à s'opposer à l'intrusion des petits animaux.
4.7.3.2 En faîtage
Les orifices de ventilation peuvent être constitués :
-
soit par des chatières (voir figure 28), ou des tuiles de ventilation ;
 : Couverture en tuiles plates de terre cuite/DTU 40.23 (NF P31-204-1) (septembre 1996)/image/fig_AII_1_28.png)
Figure 28 Sortie d'air par chatière en haut de pente
soit par un dispositif de ventilation continue ;
Dans le cas de comble non aménagé en locaux occupés, les orifices de ventilation peuvent être constitués de grilles disposées en partie haute des pignons, si ceux-ci ne sont pas distants de plus de 12 m.
4.8 Protection contre la neige poudreuse
Dans le cas d'une couverture en éléments discontinus telle que celle faisant l'objet du présent cahier des clauses techniques, la protection contre la neige poudreuse ne peut être assurée par le seul assemblage des éléments entre eux.
En conséquence, il est nécessaire de recourir à l'emploi d'un écran (souple ou rigide) tel que défini au paragraphe 4.5 et en veillant à respecter les dispositions prévues aux paragraphes 4.5 et 4.6 si cet écran est disposé au-dessus d'un isolant thermique ; cela requiert une étude préalable de conception, notamment pour les ouvrages particuliers de couverture.
Les exigences vis-à-vis de la protection contre la neige poudreuse doivent être précisées dans les documents particuliers du marché.
Si le comble n'est pas utilisé, la protection contre la neige poudreuse peut être reportée au niveau du plancher du comble, et sa nature est fonction de la nature de ce plancher.